
O projektu Aktuality
O projektu
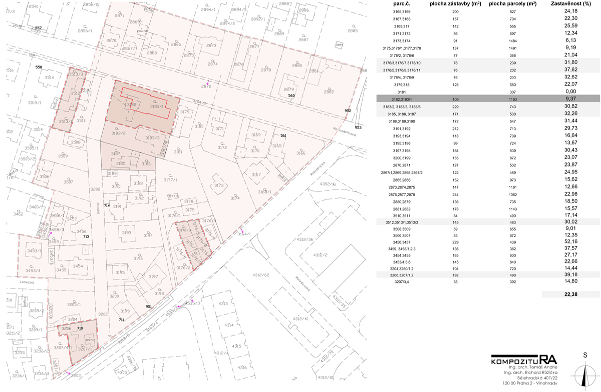
Připravovaný dům pro rodinné bydlení leží na rohu ulice Zlivská a Novosibřinská. Dvoupatrový objekt bude disponovat podkrovím a suterénem. Suterén bude plně zapuštěný pod úroveň terénu, včetně garážových stání, sklepů a dalších technických zázemí. Objekt je umístěn na pozemek tak, aby soukromá zahrada sloužící obyvatelům objektu, byla situována směrem ke stáv. rodinným domům a poskytovala tak prostor pro oddech a klid svým obyvatelům. Hmota domu zároveň tvoří clonu mezi komunikací Novosibřinská a původní zástavbou.
Aktuality
Stavební povolení na část Pražského okruhu
19.8.2024Více...
https://www.novinky.cz/clanek/ekonomika-stavebni-povoleni-na-cast-prazskeho-okruhu-mezi-d1-a-bechovicemi-nabylo-pravni-moci-40484029#dop_ab_variant=0&dop_source_zone_name=novinky.sznhp.box&source=hp&seq_no=8&utm_campaign=263_TestHub_SID_AA_test_varAA&utm_medium=z-boxiku&utm_source=www.seznam.cz
Pražský okruh dokončení
22.7.2024Více...
https://www.seznamzpravy.cz/clanek/domaci-stavba-na-kterou-cekame-30-let-prazsky-okruh-by-mel-byt-v-roce-2030-dokoncen-255901#dop_ab_variant=1&dop_source_zone_name=zpravy.sznhp.box&source=hp&seq_no=1&utm_campaign=&utm_medium=z-boxiku&utm_source=www.seznam.cz